Itinerary & Blog Page
Detailed Itinerary| 25 Mar 2008 | Changi
Airport Terminal 2,
Singapore (2030hrs) -> Male Airport (2200hrs) Dhoni Transfer to Male Over night stay at CANDIES Hotel which was about 5 mins walk from Male Ferry Jetty |
||||||
| 26 Mar 2008 | CANDIES is
a small and basic hotel. Breakfast was a simple set of toast, eggs and
fruits (not
enough
for hungry people!) .Would much prefer NASANDHURA PALACE HOTEL which we
stayed at in the previous trip. More food and bigger room, then again,
it is just a transit hotel. 1030 Dhoni to Male Airport. 1150 Maldivian Air Taxi to South Ari Atoll. Vilamendhoo was the second stop after dropping off the passengers at the Conrad on Rangaali Island. Seaplane ride was about 45mins in total, provided beautiful ariel view of the various atolls and resorts. 1300 Arrived at Vilamendhoo Island Resort. Was starving so we had lunch at the main restaurant after the check-in. 1330 Room was spacious, clean and had a king-size bed and nice open-air bathroom .. more than sufficient space for dive gear and underwater cameras. 1430 Check-in at the dive center after lunch. Ready to rock and roll ... let the NITROX flow !!
We signed-up for the 6 days unlimted dive package ... why are we still wasting time on land !! Dive 1: Check Out dive at Vilamendhoo House Reef (Exit 4 - 5) Note that most housereef dives here are unguided. All 3 of us had new BC and other new equipment, decided that we need to do our own check-out dive at the housereef to trim our weight |
||||||
| 27 Mar 2008 | Dive
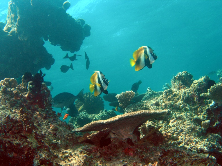
2: Kuda Giri This site has one of the most beautiful table coral formation. Eagleray was cruising in blue and the usual suspects you would expect in a maldivian reef. Dive 3: Vilamendhoo Thila The sea was so filled with blue trigger fish ... very "dense". Oriential sweetlips, batfishes and schools of blue fusilers were everywhere Dive 4: Vilamendhoo House Reef (Exit 3 - 5) Think the lobster, hermit carb, porcupine fish and the various anaemoe fishes were blinded by all the camera strobes. The trevally were hunting with the diver's light ... eats up everything that you shine on. Dinner was buffet style at the main restaurant. |
||||||
| 28 Mar 2008 | Dive
5: Dhigurah Thila One of my favourite site on this trip. Site was so busy and filled with fish life Napolean wrase, white tip reef sharks, blue fusiler being hunted by tuna. Beautiful soft coral in overhangs Dive 6: Hammerhead Reef Of course we did not see any hammerhead sharks. Maybe the reef itself looks like a hammerhead ? There was not much current when we dived this site, as such it was not so filled with big fish action that we hoped for. Dive 7: Vilamendhoo House Reef (Exit 8-9) This is the north side of the island. It is more like a wall dive. The reef was filled with moray, lionfishes, many patches of anaemone with the black footed anamone fish, moorish idol and many varitey of angel and damsel fishes. Its all about lying down ... either in the water, on the beach chair or in bed Vilamendhoo has a good housereef around the entire island. The reef on the west side of the island stretches way pass 500m ( probably beyond 1km+ I guess). Even on the beach you can easily spot stingrays and juvenile reef sharks. |
||||||
| 29 Mar 2008 | A full-day
trip to the
outer reef at the tip of South Ari Atoll to look for the
whalesharks. Apparently for this year, whalesharks are spotted more often than mantas. XXX All fingers and toes crossed X X X Dive 8: Sun Island (Outer reef) We spent more than half an hour cruising the reef hoping to catch the shadow of the whaleshark from on-board prior to jumping in ... no such luck. Did not get to see the giant on this dive but it was still a very good dive with a 3m manta and a large turtle chomping away at something (lobster?). Dive 9: Ariyadu (Other reef) Again we tried to cruise around to spot the whaleshark from the boat. Boat captain got a call from another boat that they spotted 3 whalesharks in another part of the reef, we immediately sped there and jumped in! After 12 years of diving, finally had my first whaleshark encounter. About 20 mins into the dive, finally spotted a baby 4m whaleshark. Near the last 10 mins end of the dive, we were very lucky to encounter another young adult at about 7 meters long. Spotted the shadow of the 3rd whaleshark from on-board when we were leaving the site. Catch more whaleshark pics in our WHALESHARK SPECIAL page Dive 10: Vilamendhoo House Reef (Exit 4 - 2) This was the south side of the island. East of the jetty (Exit 3,2,1) seems like a better reef compared to the west side of the jetty. The usual black footed anemone fish, the assortment of trigger, surgeon, hawkfish ... etc. Found a meter long and fat grouper hiding in a large hole. |
||||||
| 30 Mar 2008 | Dive
11: AA Thila Marble ray swimming by into the sandy seabed. Curious batfish posing. Lots of overhangs, lots of crevices filled with fishes Dive 12: Reethi Thila Curious surgeon fish would be playing with your bubbles as you descend. Watch out for their tail blades !! This is one of my favorite site this trip. It was a beautiful 5 rock formation creating canyon of sea fans and soft corals Current was relatively strong, basically the canyon provides shelter from the current as you enjoy the sea-fans and soft coral and "dash" from canyon to canyon. The boat engine acted up on the return trip of the second dive. We spend the next hour drifting on the boat waiting for the other boat to bring fuel ! Sock was suppose to meet us for tea at 4pm at the dive center, apparently we were very late ! |
||||||
| 31 Mar 2008 | The boat
engine acted up on us
again, we abort the trip to the further Kuda Ran Thila and opted for
the nearer site
Lucky Rock. I guess Eilin got her wish of a simple dive vs
finning against maldivian current (for a change). Dive 13: Lucky Rock 1m diameter marble ray at 30+m on entry .... you can hear everybody's dive computer beeping away like crazy. Large group of yellow snappers in the deep. Lots of large overhangs filled with red soldier-fishes. The ever present friendly batfish. Top of the reef was at about 12m and was filled with emperor angelfish, file fish, octopus, large groupers hiding below table top corals ..etc Dive 14: Jack Fish Channel I don't think we saw much jacks in this dive but spotted a really large napolean wrasse. Maybe they are slightly out in the blue. This was a deep dive with strong current. Good underwater workout at 28m as the current kept changing intensity and direction as we kept finning, finning and more finning.It was a very long thila, probably would be much easier to have started the dive in the opposite end of the thila and done a drift dive instead of going against the current for the entire dive. Arrgh, one of the few dives that we did not have enough air to stay down for the full 60 mins :P Dive 15: Vilamendhoo House Reef (Exit 7-8) As usual, we ended each dive day with our own unguided housereef dive. Special dinner table setup for those leaving the island the next day |
||||||
| 1 Apr 2008 | Had lunch
at our favourite
sunset bar .. and parting shots of the island 1550hrs Maldivian Air Taxi Transfer -> Male Last look at the island from the seaplane. Check out the reef formation on the west side of the island At the airport, had Ice Cream at Movenpick ... got greedy and had 3 scoops. Dinner at Aqua, some nasi bryani that tasted not bad but was not the usual briyani we expected. Food here takes really long to serve, so make sure you are not in any rush. Airport had free shower facilities, washed up and was ready to go back home Discovered that they now have a new Dome Cafe within the DFS/ Check-in area of the airport. Would certainly make a better dinner option for the NEXT trip. 2335hrs Flight home SQ451 |
||||||
| 2 Apr 2008 |
Touchdown Singapore 0700hrs |
